Depto.tipo casa de 3 ambientes en Venta en Almagro

Resúmen de Visitas
Últimos 30 Días
Interés Fecha Nombre Celular Email Tipo

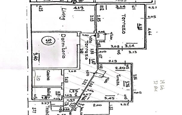
🏡✨ *¡imperdible! hermosa unidad tipo casa lateral por pasillo— 61.19 m² totales por escritura (30m2 cubiertos + 32m2 descubiertos) + 60 m2 de terraza de uso exclusivo que no figura en escritura (terraza), la unidad no cuenta con gas, solo servicios electricos, la unidad abona ezpensas — súper luminosa y con espacios propios* 🌞💫 📍 *ubicación privilegiada:* a solo 3 cuadras de parque centenario y a pasos del hospital italiano. Zona tranquila, conectada y con todo al alcance. 🔥 *¿qué ofrece esta propiedad?* * 🪜 *primer piso por escalera* * 🌤️ *luz natural en todos los ambientes* * 🌿 *patio propio* + ☀️ *terraza privada* con *pequeña parrilla* * 🛋️ *living comedor* amplio con *cocina integrada* * 🍽️ *barra desayunadora* súper práctica * 🧺 bajomesada y alacenas completas y funcionales * 🛏️ *dos dormitorios* con placard incluido * 🛁 *baño con doble circulación* y ducha * 🧼 *lavadero independiente* * ❄️ *aire acondicionado frío/calor* instalado ✨ *una unidad cómoda, práctica y lista para mudarse.la propiedad tambien es apto profesional,* 💥 *¡oportunidad única! consultá sin compromiso.* se deja constancia que las caracteristicas, medidas, expensas y superficies consignadas son aproximadas, sujetos a verificación y/o ajuste. El precio del inmueble puede ser modificado sin previo aviso. Fotos de carácter no contractual. Las unidades publicadas están sujetas a disponibilidad.comercializa migliorisi de corrientes 4599 srl profesional responsable jorge daniel gomez cpi 261


Información general

Superficie Cubierta

50 m2

Ubicación

Lateral

Baño

1

Antiguedad

30 años

Ambientes

3

Cantidad de Plantas

1

Orientacion

Norte

Patio

10

Expensas

Consultar

Medida Dormitorios

3.00 x 3.50 3.00 x 3.00

Terraza

60

Lavadero

Independiente

Ubicación de la propiedad

Se deja constancia que las caracteristicas, medidas, expensas y superficies consignadas son aproximadas, sujetos a verificación y/o ajuste. El precio del inmueble puede ser modificado sin previo aviso. Fotos de carácter no contractual. Las unidades publicadas están sujetas a disponibilidad. Comercializa Migliorisi de Corrientes 4599 SRL Profesional responsable Jorge Daniel Gomez CUCICBA 261
WhatsApp Icon